U gebruikt een verouderde internetbrowser.
We raden u aan om de meest recente internetbrowser te installeren voor de beste weergave van deze website.
Een internetbrowser die up to date is, staat ook garant voor veilig surfen.

Helaas, dit pand is verkocht

3900 Pelt

Omschrijving

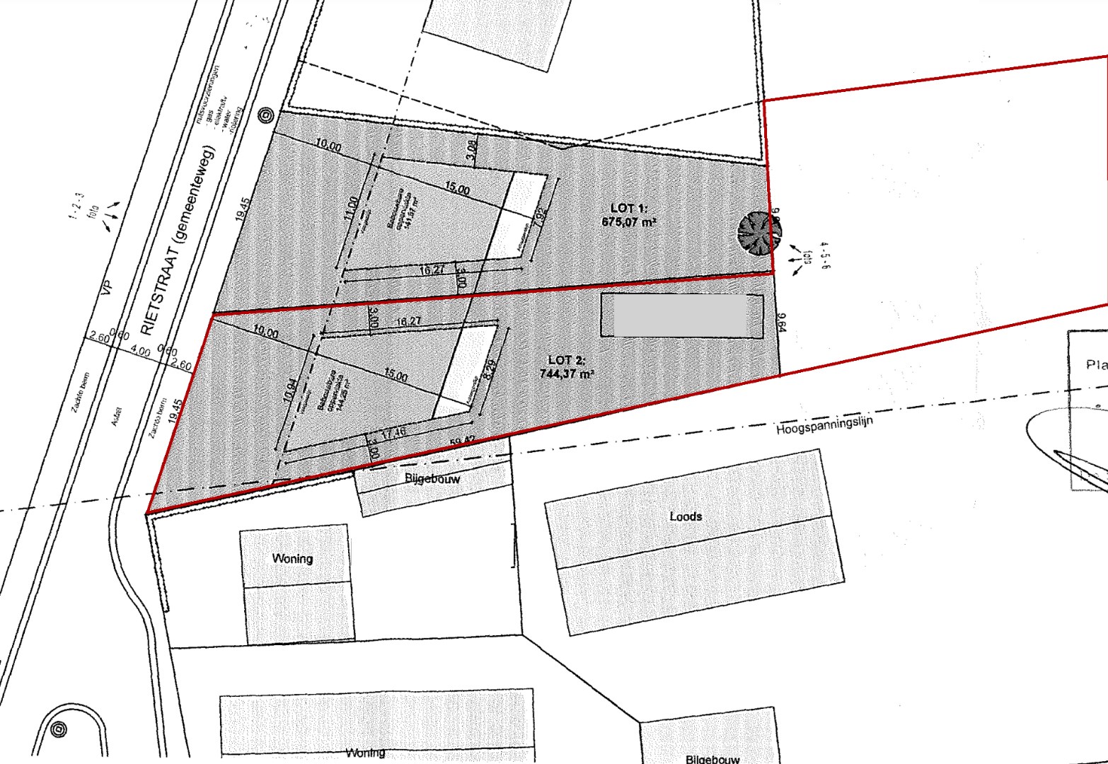
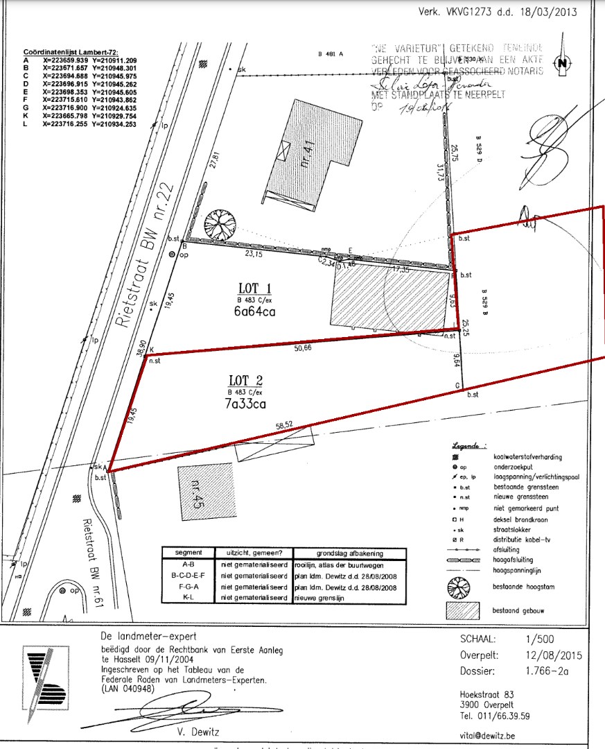
Mooie bouwgrond net buiten de ring van Overpelt(-Centrum) te koop!

Deze bouwgrond van 7a33ca wordt vergezeld met een mooi achterligging weiland van 22a90ca. Dit zorgt dat de grond een totale grootte heeft van maar liefst 30a23ca. Mensen die houden van een ruim perceel, wees er snel bij!

Deze bouwgrond heeft een straatbreedte van 19,45m. Er kan een constructie opgebouwd worden met een breedte van 10,94m en de totale gelijkvloerse bebouwbare oppervlakte bedraagt 144,25m². Uiteraard mag hier ook een verdiep opgezet worden, waardoor u een zeer aangename woning kan bouwen.

Als u liefhebber bent van dieren, is het achterliggende weiland prachtig en kan u de woning zodanig bouwen dat u zicht heeft op uw paard(en), schaapjes of andere dieren. Uiteraard kan u het ook gebruiken als uitbreiding van uw tuinperceel.

Bouwvoorschriften:
Gelijkvloers 15m diep
Verdieping 12m diep
Maximaal 2 bouwlagen (nokhoogte 11m)
Bijgebouw toegestaan

Voor meer info, contacteer ons snel op 011 64 55 00 of info@vastgoedfransen.be.


Niet gevonden wat u zocht? Schrijf u dan vrijblijvend in op onze nieuwsbrief en blijf op de hoogte van ons recentste aanbod.
Schrijf u in
Terug naar boven
Sluit menu Vastgoed Fransen BV