U gebruikt een verouderde internetbrowser.
We raden u aan om de meest recente internetbrowser te installeren voor de beste weergave van deze website.
Een internetbrowser die up to date is, staat ook garant voor veilig surfen.

Helaas, dit pand is verkocht

3900 Pelt

Omschrijving

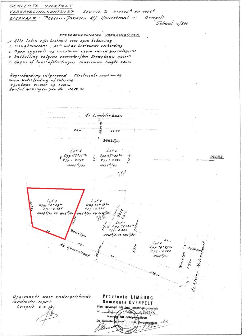
OPEN BEBOUWING

Dit mooie stuk bouwgrond van 6a69ca staat te koop!
De bouwgrond is gelegen aan de Hoevenstraat op 5 minuten van Overpelt-centrum. Dit zorgt ervoor dat winkels, banken, restaurants, scholen en het ziekenhuis allemaal binnen handbereik zijn. De Hoevenstraat is een rustige, verkeersvriendelijke straat.
Daarnaast ligt ook de Noord-Zuidverbinding op enkele minuten rijden, waardoor u zo toegang heeft tot de Nederlandse grens en een goede verbinding heeft met Hasselt.

Bouwdiepte: max. 14m + 3m voor de aanhorigheden (de aanhorigheden dienen met de hoofdbouw één harmonisch geheel te vormen).
Bouwhoogte:
- aantal volwaardige bouwlagen: 1 (onder de kroonlijst)
- hoogte begrepen tussen 2,5m en 3,5m (tussen wegpeil en kroonlijst)
Dakhelling: begrepen tussen 25° en 35°
Bouwbreedte: mits inachtname van de min. afstand tot de zijdelingse perceelgrenzen, wordt de maximale breedte van de bebouwing op 2/3 van de kavelbreedte gesteld (deze kavelbreedte dient voor elk gedeelte der woning gemeten, evenwijdig met de rooilijn). De maximale bouwbreedte mag niettemin niet meer dan 20m bedragen.

Interesse of meer info nodig over de bouwvoorschriften?

Contacteer ons dan snel op info@vastgoedfransen.be of bel 011 64 55 00.


Niet gevonden wat u zocht? Schrijf u dan vrijblijvend in op onze nieuwsbrief en blijf op de hoogte van ons recentste aanbod.
Schrijf u in
Terug naar boven
Sluit menu Vastgoed Fransen BV