U gebruikt een verouderde internetbrowser.
We raden u aan om de meest recente internetbrowser te installeren voor de beste weergave van deze website.
Een internetbrowser die up to date is, staat ook garant voor veilig surfen.

Helaas, dit pand is verkocht

3940 Hechtel-eksel

Omschrijving

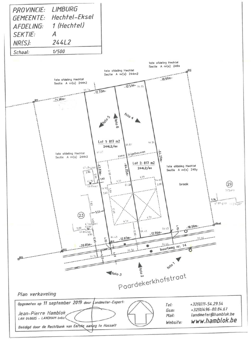
Rustig gelegen half open bouwgrond van 816m²

Deze rustig gelegen half open bouwgrond vinden we terug in de Paardenkerkhofstraat in Hechtel

Het perceel heeft een breedte van 12, 83m en is 64,93m diep.

De traditionele bouwvoorschriften zijn hier zijn van toepassing;

U kan 9,79m gevelbreedte hanter en 17m diep op gelijkvloers
Op de verdieping kan u 12m diep bouwen.

Meer info? Contacteer ons op 011 64 55 00


Niet gevonden wat u zocht? Schrijf u dan vrijblijvend in op onze nieuwsbrief en blijf op de hoogte van ons recentste aanbod.
Schrijf u in
Terug naar boven
Sluit menu Vastgoed Fransen BV